在太平洋西部的深邃海域,马里亚纳海沟如地球张开的巨口,以每年30亿吨的速度吞噬着海水,这个过程已持续上百万年。若按此规模计算,地球海洋早该干涸,但现实是海平面始终保持相对稳定。这些被“吞”入深渊的海水,究竟去往了何方?
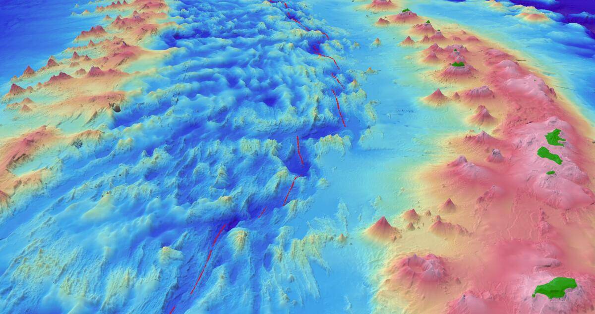
马里亚纳海沟是板块运动的“天然实验室”,这里太平洋板块以俯冲姿态钻入马里亚纳板块下方,形成深度达11034米的地质深渊。当板块俯冲时,海沟处的沉积物和海水会被一同卷入地幔。美国加州大学的地质学家通过地震波监测发现,俯冲板块就像一块吸饱水的海绵,携带大量海水进入地下数百公里深处。
进入地幔的海水并未消失,而是开启了漫长的地质循环。在高温高压环境下,海水与岩石发生复杂的化学反应,形成含结晶水的矿物,如蛇纹石。这些“含水矿物”成为地幔的“储水仓库”,将水分稳定锁定。地质学家估算,地幔上层通过这种方式储存的水量,可能相当于全球海洋总水量的3倍以上。
但地幔的储存并非永久。当板块运动将这些含水矿物带至更深处,高温会打破矿物结构,释放出水分。这些被释放的水以超临界流体形式存在,兼具气体和液体特性,具有极强的活动性。它们会沿着地壳的裂缝向上渗透,最终在火山活动区域聚集。
火山喷发成为海水回归地表的“通道”。2018年,科学家在日本富士山周边的火山岩中,检测到来自地幔的水分子,其同位素特征与马里亚纳海沟俯冲带的海水完全匹配。这一发现证实,被海沟吞噬的海水,经过地幔循环后,会随着火山喷发以水蒸气形式重返大气,再通过降雨落回海洋,完成闭环。
除了火山喷发,部分海水还会通过地壳渗透缓慢回归。在大洋中脊的热液喷口处,科学家观察到大量地下水涌出,这些水同样来自地幔的“储水仓库”,它们与海水混合后,参与海洋生态系统的物质循环。
马里亚纳海沟的海水吞噬与回归,揭示了地球水资源的动态平衡。这一循环不仅维持着海洋的稳定,更塑造了地球的地质地貌——板块运动、火山活动、矿产形成,都离不开这些“穿地而行”的海水。从海沟深渊到火山云端,水资源的循环故事,正是地球生生不息的生动注脚。